
| Species id: | 133370 |
| Image id: | 2 |
| Image number: | 6740 |
| Photographer: | BT Wursten |
| Code 1 if image of a herbarium specimen: | 0 |
| Herbarium in which image taken: | |
| Code 1 if image not to be displayed: | 0 |
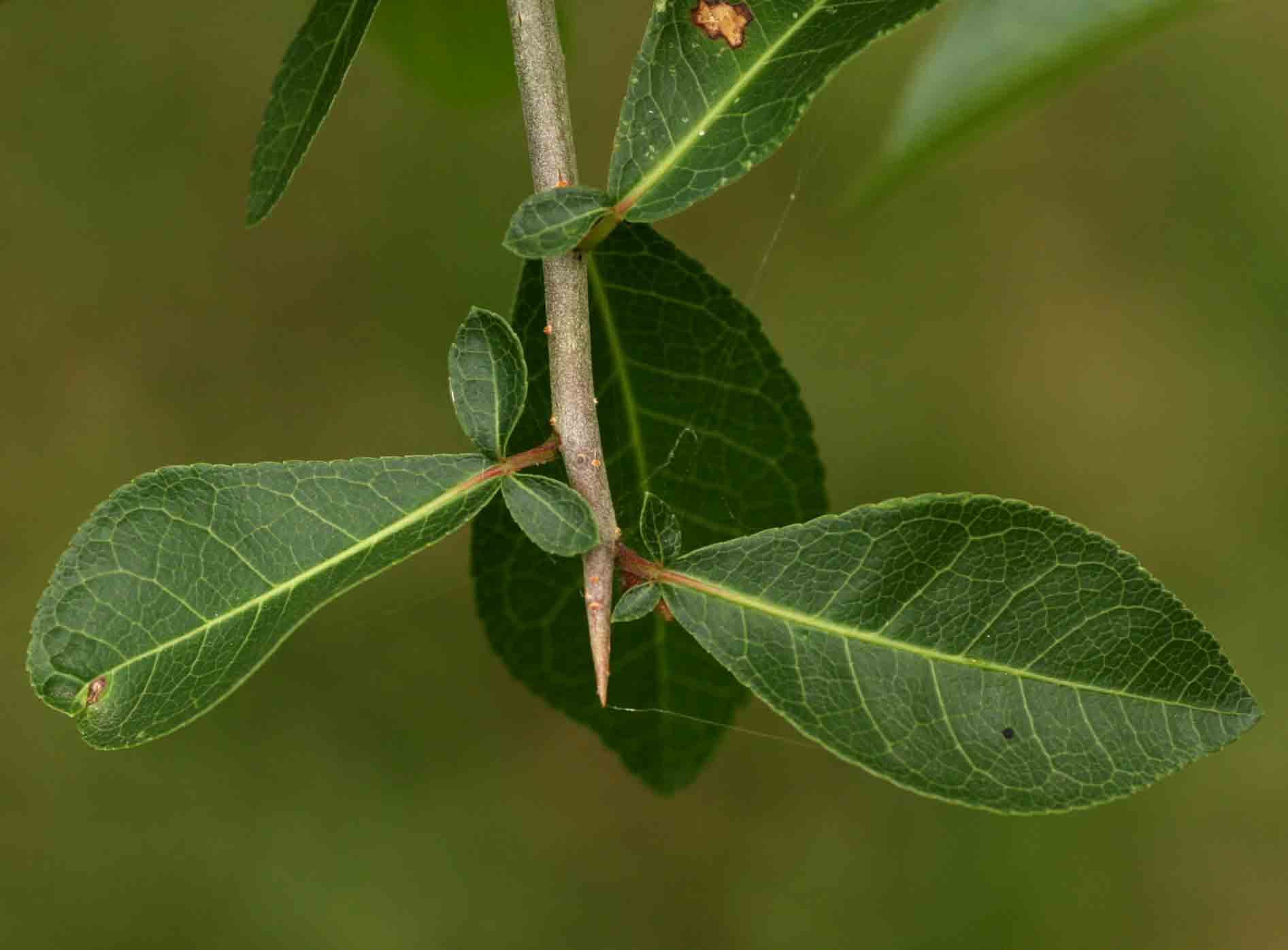
| Image notes: | Shrub with generally simple leaves but some 3-foliolate. |
| Record id: | 26419 |
| Date: | 6 Jan 2009 |
| Recorder(s): | MA Hyde BT Wursten |
| Collector(s): | |
| Determiner(s): | |
| Confirmer(s): | |
| Herbarium: | |
| Habitat: | In garden |
| Location: | Crocodile Farm, Kariba |
| Location code(s): | |
| Outing code: | |
| Planted code: | Not planted |
| Country: | Zimbabwe |
| Quarter Degree Square: | 1628D2 |
| Grid reference: | |
| FZ divisions: | N |
| Altitude (metres): | 490 |
| Notes: | Shrub with generally simple leaves but some 3-foliolate. |
| Latitude, Longitude: | -16.546720, 28.874150 |
| Location accuracy code: | 0 |